Advertising About Us
  Ad Details

Recent Additions
Horses For Sale
Stallion Service
Farms Tack
Trucks & Trailers
Clothing
Service Providers
Events
Wanted

Looking for drafts?
DraftsForSale.com

 

Click Here for a printable ad sheet.
Click Here to email this ad.

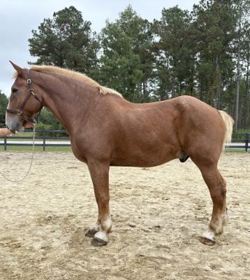
Horse For Sale

Belgian

Location: Bath, North Carolina
Breed:Belgian Color: Sorrel
Date Foaled:2015 Gender:Gelding
Current Height:18 HH

"Big Belgian gelding "

Price: $6500

You aren't logged in!
Logging in will turn on more features when you view ads.


This is a 10 year old, 18.2 hand, Belgian gelding. He’s broke to ride and drive! Under harness he is a great work horse, good with traffic, and gets work done for you with no problem. He’s not a total dead head and needs a firm hand! Moves out willingly, stops and backs well. Sells with a 10 day money back guarantee. https://youtu.be/I82lWm9r2DI?si=ebb9nOnnQW3L3uVg https://youtu.be/Aw6TAGkbhaU?si=te8237KaeHc2gZrI

Click Here to View All Ads From This Farm


For more information contact:

Isaiah Boyd
Innercoastal Livestock
4003 Archbell Road
Bath, North Carolina 27808
Phone 252-943-1724

Send a Message to the Ad Owner
Your Email Address:
Your Name:
Enter Code: UZMTGI
Message to the Ad Owner:


Ad Reference Number is 68e7d40226071
This ad has been viewed 474 times since created on 2025-10-09
Last modified on 2025-10-09
Last renewed on 2025-10-09

Be sure to mention that you found this horse on BestEquine.com!

 
   
 
Please also visit: DraftsForSale.com and DraftHorseStuff.com

Copyright © 2005-2019 Drafts For Sale L.L.C.
All rights reserved.  No portion of this site may be reproduced or copied without the express written consent of Drafts For Sale L.L.C.